Side Sewer As-built Plan Requirements
You submit an “as-built plan” as part of closing out your side sewer permit process. This plan is a scaled drawing that shows all changes made to the side sewer and/or service drains during construction.
There are specific requirements for ALL as-built plans and additional requirements for specific types of projects. Make sure you review all requirements and use the Abbreviation List.
Need to Apply for a Permit? Visit How to Apply page.
A “Side Sewer Site Plan” template will be provided by SPU Side Sewer Permit staff when they issue your side sewer permit. Contact SideSewerInfo@seattle.gov to request one if needed.
ALL As-Built Plans:
- Draw the plan “to scale.” This means using a consistent (proportional) way to represent real-life measurements on your drawing or map. A scale on your drawing or map tell you how many inches on the map equals a given length on the site.
- Use an SPU “Side Sewer Site Plan” template. Its scale is fixed at 1 inch (on the map) equals 20 feet (on the site) OR 1 inch (on the map) equals 50 feet (on the site). For larger sites, use the template where 1 inch equals 50 feet.
- Include:
- An labeled arrow that shows which direction is North
- your site address or addresses – include all
- your side sewer permit number(s) – include all
- Draw all existing side sewer and sewer main infrastructure.
- Visit the SPU Water and Sewer Map to research existing drainage and sewer infrastructure.
- Use color to show the USE of the pipe.
- Drainage - draw in blue
- Wastewater (includes combined wastewater and drainage) - draw in red
- Use required abbreviations for all labels. See the abbreviation list at end of this page.
- Show all conveyance facilities. This includes pipes, swales, splash-blocks, etc.
- Label pipe material, diameter, slope (if possible), and the location of all new pipe material installed that is related to the side sewer construction.
- You don't need to label every bend and fitting because the drawing is to scale.
- Show end points and provide length for pipe lining and pipe bursting.
- Show and label depths where the side sewer:
- was repaired
- connects to the building
- crosses the property line abutting the right-of-way.
- Include all required measurements for work in the ROW, if applicable. Additional instructions are provided below.
As-Built Plan for additions, alternations, repairs (including pipe lining and pipe bursting), and/or capping
Use the “Side Sewer Site Plan” template to draft your as-built construction plan. This template will show the data currently stored in the City of Seattle’s GIS including:
- Existing side sewer and main infrastructure
- Property lines (Note: Do not use the edge of the curb.)
- Site address
- Building outlines (Note: This is the roof outline, not the building foundation footprint.)
- Edge of the pavement (within the right-of-way only)
As-builts on new construction
New Construction Projects must follow required stormwater Best Management Practices (BMPs). As-bults for new construction projects must follow the above requirements for ALL As-built plans and As-built Plans for addition/alteration, repair, or capping, and include required stormwater BMPs on the drawing.
Most required stormwater BMPs are shown on the Standard Drainage and Wastewater Control (DWC) Plan or your engineered civil plans. You must use the approved DWC Plan or engineered plan as your side sewer as-built plan, with any modifications to your approved plan shown as red-lined changes.
The SPU side sewer inspector will determine if your plan is acceptable; if we cannot read the as-built information (poor quality, too much information) we will not accept the plan. We will not accept the DWC or engineered plan if we cannot read the as-built information.
On-Site Stormwater Management BMPs
Please use the abbreviations shown in the abbreviation list.
- Infiltration trenches, dry wells, and underground injection controls: Show the location, dimensions, depth, and tight-lined overflow
- Raingardens, infiltrating bioretention, and non-infiltrating bioretention: Clearly show the location, top area, underdrain, and overflow
- Permeable pavement surface: Show and label the location and extent of the permeable pavement
- Permeable pavement facility: Please show and label
- the location, extent, of the permeable pavement facility
- the location and overflow point of the underdrain
- Vegetated roofs: Show and label the location and total area of the vegetated roof
- Rainwater harvesting: Show and label the location of the rainwater harvesting cistern and outfall location
- Splash blocks, level spreaders, perforated stub-out connections: Show and label the location on the site
Flow Control BMPs
- Show the detention systems and flow control structure maintenance hole. Label the measured distances from a nearby building corner or closest maintenance hole.
- Label orifice diameter, tank diameter (or vault cross- section), and length of tank or vault.
Water Quality BMPs
- Proprietary stormwater treatment: Show and label all stormwater treatment facilities. Include number of cartridges and filter media type
- Wet vaults and sand filters: Provide the structure dimensions
- Oil water separators: Note if the oil/water separators are Baffle / American Petroleum Institute (API) or coalescing plate type (CP)
Standard Drainage and Sanitary Sewer Features
- Show and label all drainage or sewer structures, such as pump systems (wet wells), maintenance holes, cleanouts, downspouts, catch basins, area drains, and backwater sewage valves.
- Show footing drain connections to on-site catch basins.
- Show your site stormwater conveyance from point of collection to approved discharge point.
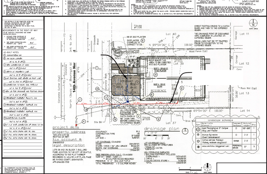
As-builts that include work in the Right-Of-Way (ROW)
Specific information needs to be included if there was work in the ROW. This information goes in the box labeled “Measurements in the Right-Of-Way” on the provided Side Sewer Plan template or on your site plan if that is used as the as-built plan. See Figure 3 below for reference.
- Relative distance and location of service connection to nearest maintenance hole
- This measurement is required for a new core tap connection to the main, or if the measurement does not appear on the provided template map.
- To measure: Start at center point of the nearest maintenance hole. Follow the path of the main to the center point of the side sewer connection to the main. Round the measurement up to the nearest half foot.
- Relative location of service connection to maintenance hole
- Label nearest maintenance hole as either downstream (D/S) or upstream (U/S), relative to your side sewer connection.
- Side sewer intersection with the property line if your side sewer is exposed at the property line:
- Depth at property line: At the property line, measure from the approximate finished grade vertically down to the top of the side sewer. You must round this measurement down to the nearest half foot.
- Distance from sewer main center line to property line: Use the center point of the nearest maintenance hole to establish the approximate path of the main. Follow this path until you cross the imaginary perpendicular (90-degree) line that extends from where your actual side sewer crosses the property line.

Submit the completed as-built plan directly to the site inspector. Do not upload it to the Seattle Portal.
During the side sewer inspection, the SPU side sewer inspector will confirm that your as-built plan is accurate, clear, complete, and reflects the as-built information of the side sewer construction, including any revisions, alterations, and/or materials. If not, you will need to correct the drawing and get a second inspection. After the inspector approves your final side sewer as-built, we will finalize your side sewer permit.
Illustrated samples of side sewer site plans are included below.
- Figure 1 shows the required elements of a side sewer as-built plan for a side sewer repair.
- Figure 2 shows the required elements of a side sewer as-built plan for a side sewer alteration. This example includes the building addition footprint.
- Figure 3 shows the required elements of a side sewer as-built plan for a new construction project.
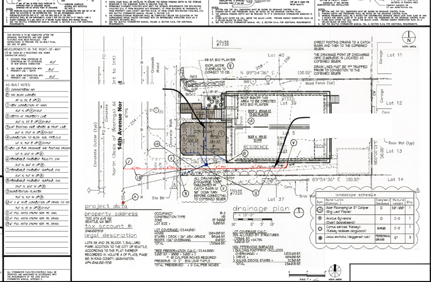
- Figure 4 shows a close-up sample side sewer as-built plan for new construction.
Figure 1: Sample Side Sewer As-Built Plan for Repair

Figure 2: Sample Side Sewer As-Built Plan for Alteration

Figure 3: Sample Side Sewer As-Built Plan for New Construction

Figure 4: Close Up of Sample Side Sewer As-Built Plan for New Construction

Use the following abbreviations on your As-Built Plans. Abbreviations are shortened forms of a word or phrase that reduce text and increase readability of plans.
| Abbreviation | Material |
|---|---|
| ABS | Acrylonitrile butadiene styrene |
| CFP | Corrugated flexible plastic |
| CIP | Cast iron pipe |
| CMP | Corrugated metal pipe |
| CON | Concrete |
| DIP | Ductile iron pipe |
| HDP | High density polyethylene |
| PVC | Polyvinyl chloride |
| RCP | Reinforced concrete pipe |
| VC | Clay |
*If a pipe is perforated, precede the material or infrastructure type with the abbreviation PERF.
| Drainage | Abbreviation |
|---|---|
| Area drain | AD |
| Catch basin | CB |
| Culvert | CUL |
| Detention system | DTS |
| Downspout | DSP |
| Footing drain | FTD |
| Inlet | INL |
| Subdrain (around walls) | SUB |
| Trench drain | TR |
| Weephole | WH |
| Yard drain | YD |
| On-site BMPs | Abbreviation |
|---|---|
| Dry well | PIT |
| Infiltrating bioretention | IBR |
| Infiltration trench | PIT |
| Non-infiltrating bioretention | NBR |
| Permeable pavement surface | PPS |
| Permeable pavement facility | PPF |
| Raingarden | RG |
| Rainwater harvesting | RWH |
| Subdrain | SUB |
| Underground injection control | UIC |
| Vegetated roof | VGR |
| Water quality structure | WQS |
| Splash blocks | SBL |
| Level spreaders | LSP |
| Sewer | Abbreviation |
|---|---|
| Backwater sewage valve | BSV |
| Cleanout | CO |
| Rubber coupler | RBC |
| Oil/water separator | SEP |
| Other | Abbreviation |
|---|---|
| Capped | CAP |
| Pump | PMP |
| Reducer | RED |
| Stub | STB |
| Wye | WYE |
| Maintenance Hole | MH |
| Building Connection (Soil pipe) | SP |